Дата
Автор
Скрыт
Источник
Сохранённая копия
Original Material

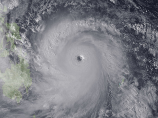
На Филиппины обрушился тайфун, обещающий стать самым мощным в истории метеонаблюдений


На Филиппины обрушился тайфун "Хайян", прохождение которого по территории страны чревато катастрофическими последствиями. По мнению специалистов, этот тайфун может оказаться самым мощным в мировой истории метеонаблюдений и превзойти по силе ветра считающиеся рекордными "Камиллу" и "Аллена", сообщает Sky News.

Сила ветра "Хайян" в момент, когда он достиг побережья, составила 87 метров в секунду (свыше 300 км/ч), с порывами до 105 метров в секунду. Во время тайфунов "Камилла" и "Аллен" сила ветра достигала 84,7 метра в секунду, отмечает ИТАР-ТАСС. "Камилла" обрушилась на атлантическое побережье США в 1969 году, "Аллен" - на США, Мексику и острова Карибского моря в 1980.

Из районов центральных Филиппин, которые накрыл тайфун, массово эвакуируют жителей. На данный момент известно, что свои дома покинули уже порядка 125 тысяч человек. В школах ряда регионов отменены занятия. Нарушено расписание приема самолетов в некоторых аэропортах - отменены свыше 400 рейсов.

Как ожидается, стихийное бедствие не затронет столицу Филиппин - Манилу. А вот в провинции Самар тайфун уже наделал шуму в буквальном смысле слова: в городке Гуиуан порывы ветра и дождь стали причинами оползней. По сведениям метеорологов, в данном регионе порывы ветра достигали 235 миль в час (около 380 км/ч).

Также поступают сообщения о жертвах. Новостной Twitter-канал PzFeed передает, что в списках погибших числятся уже три человека, включая женщину и ее ребенка. Подробностей и официальных данных о гибели людей от властей государства пока не поступало.

"В этом регионе люди традиционно строят по большей части такие здания, что не способны выстоять при ветрах подобной силы", - пояснил USA Today специалист американской частной метеорологической компании Weather Underground Джефф Мастерс.

По мнению экспертов, ущерб от тайфуна будет катастрофическим. В то же время специалисты отмечают, что ураган движется очень быстро и потому не должен вызвать продолжительные ливни и наводнения, которые являются главной причиной гибели людей во время тропических тайфунов на Филиппинах.

По прогнозу, "Хайян" будет бушевать над островами в пятницу и субботу, а затем переместится в направлении Вьетнама и Лаоса.

Сезон дождей на Филиппинах длится с июня по декабрь, и за это время ежегодно на архипелаг обрушиваются до 20 ураганов и сильных штормов.