Дата
Автор
Скрыт
Источник
Сохранённая копия
Original Material

"Золотая Нива" и коррупция при президенте. Кто живет в самом недоступном и элитном месте Казани

Гостевой дом при управлении президента Татарстана находится недалеко от Деревни Универсиады, в одной из самых закрытых для доступа обычных казанцев территорий. Большой дом, вертолетная площадка, благоустройство — на это все тратятся миллионы бюджетных средств ежегодно. На спутниковых снимках видно, что в том же месте есть еще несколько участков со строениями — огромный дом с искусственным озером, дом поменьше в окружении мелких сооружений и почти пустой участок с ровными рядами деревьев. Владельцы этой дорогой недвижимости — братья Шаймиевы, экс-депутат Казгордумы и экс-генменеджер ХК "Ак Барс" Равиль Шавалеев, а также мэр Казани Ильсур Метшин. Кто владеет элитной недвижимостью в самой закрытой части столицы Татарстана — в расследовании "Idel.Реалии".

ГЛАВНЫЕ ВЫВОДЫ РАССЛЕДОВАНИЯ

— Большой особняк и участок в Казани уже много лет называют домом мэра Казани Ильсура Метшина. Долгое время эта территория по документам никому не принадлежала, но в 2013-2014 годах ее купил генменеджер ХК "Ак Барс" Равиль Шавалеев. После он продал один из участков и банный комплекс мэру города.

— Дом начали строить в 2009 году, когда территория под ним никому не принадлежала. Есть вероятность, что его строили на деньги государства. Застройщиком выступила итальянская компания Spazio Verde, проект разрабатывало турецкое бюро GAD & Dara Kirmizitoprak.

— Рядом с "мэрским домом" находятся гостевой дом при Управлении делами президента Татарстана и участки детей первого президента республики Минтимера Шаймиева. Их цена, согласно кадастру, — 1,3 млрд рублей.

— Три главных дома — гостевой президентский, "мэрский" и Шаймиевых — расположены в закрытой территории. Рядом — поселок "Нива Татарстана", который облюбовали известные в республике чиновники, бизнесмены и депутаты. Участки там купили Курбан Бердыев, Илья Вольфсон, Марат Муратов и дети близкого друга президента РТ Джаудата Миннахметова.

— Равиль Шавалеев через специальную комиссию Росреестра снизил в 2017 в два раза кадастровую цена на два из пяти участка комплекса. Чиновники внесли изменения задним числом — за несколько дней до покупки в 2014 году им этих участков.

— На гостевой дом при УДП РТ тратятся миллионы в год. Только согласно госзакупкам, с 2010 года на него потратили 185,5 млн рублей бюджетных денег. При этом часть закупок провели с нарушениями закона — в аукционах принимали участие связанные компании, тем самым завышая стоимость работ.

— Благоустройством гостевого дома при УДП РТ занимается компания бывшего сотрудника Росреестра РТ. Несколько лет назад его осудили условно на два года и оштрафовали на 100 тысяч рублей за покушение на мошенничество — он участвовал в попытке похитить у гражданина 1,3 млн рублей под предлогом помощи ему в оформлении земли в Салмачах.

— На охрану гостевого дома ежегодно тратят шесть миллионов рублей. Госзакупки выигрывает Управление Вневедомственной охраны войск Национальной гвардии РФ по РТ. Они должны работать на двух КПП. Один из пунктов контролирует вход непосредственно на участок, второй может обеспечивать безопасность на входе в комплекс Шаймиевых.

МЭРСКИЙ ОСОБНЯК

Одним из первых о том, что на территории бывшего Кабанского городища находится частная закрытая территория, на которой расположился дом мэра Казани Ильсура Метшина еще в июле 2013 года написал бывший пресс-секретарь Минтимера Шаймиева и журналист Ирек Муртазин.

До него в марте 2013 года о доме мэра писали местные активисты на сайте "Доброй машины пропаганды" (сайт сейчас не доступен, только в кэше). Они отмечали, что на территории 2 гектара расположен дом, искусственное озеро, бассейн, двухэтажный гараж и КПП, "которое по размерам больше походит на отдельный дом".

"Внутренняя отделка (полы и колонны) выполнена из мрамора. Стоимость одной колонны, по словам приславшего фотографии, около 700 тысяч рублей. На строительстве работают итальянцы. Никаких узбеков и таджиков, а уж тем более россиян — только образованным европейцам можно доверить такой важный объект. Дом должен быть готов к Универсиаде", — написали тогда активисты.

В сети позже появились фотографии проекта. Выяснилось, что он называется "Семейный особняк "Золотая капля" и разработан турецкими архитекторами из компании GAD & Dara Kirmizitoprak. Застройщик — итальянская компания Spazio Verde.

В 2013 году, активисты выяснили, что на участке, согласно проекту, должны быть размещены следующие объекты:

  • дом;
  • искусственное озеро;
  • ресторан;
  • дом для прислуги;
  • уличный бассейн и сауна;
  • дом для охраны и КПП;
  • искусственная горка;
  • каскад водопадов.

Кроме того, они тогда отмечали, что, согласно выписки из ЕГРН, эта территория никому не принадлежит.

Ирек Муртазин в июле 2013 года написал, что непонятно, каким именно образом участок, который никому не принадлежит, реализован и на нем ведется строительство. "Общественность подняла шум по поводу строящейся виллы еще зимой [2013 года], и исполком Казани уже проверял эту информацию. Но, если ошибка не была обнаружена еще тогда, то почему не последовало обращение в прокуратуру и почему не была инициирована проверка по данным обстоятельствам?" — задается вопросом журналист.

Найти информацию о том, что кто-то из правоохранительных органов тогда проводил проверку и были ли какие-то результаты, не удалось.

Активисты тогда были уверены, что отсутствие собственника у участка объясняется просто: он строится на государственные деньги, а после сдачи в эксплуатацию, проведут аукцион, объект кто-то купит за небольшие деньги и в итоге он окажется в руках семьи Метшина: "на все вопросы тот будет отвечать — строил сам на нажитые непосильным трудом жены деньги". И они оказались почти правы.

Равиль Шавалеев (слева) и Рустам Минниханов (справа)

Кстати, в феврале 2018 года издание "Инказан" писало, что мэрия Казани опровергала принадлежность объекта мэру города Ильсуру Метшину, заявив, что земли и стройка принадлежат Равилю Шавалееву, депутату Казгордумы и экс-генменеджеру хоккейного клуба "Ак Барс". Чуть позже редакция написала, что в декларации о доходах последнего за 2016 год не указал данные о 13 объектах недвижимости и двух земельных участках. Редакция тогда направила запрос в управление главы РТ по вопросам антикоррупционной политики. В результате с 28 февраля 2016 года полномочия Шавалеева в Казгордуме были досрочно прекращены.

КОМУ ПРИНАДЛЕЖИТ КОМПЛЕКС

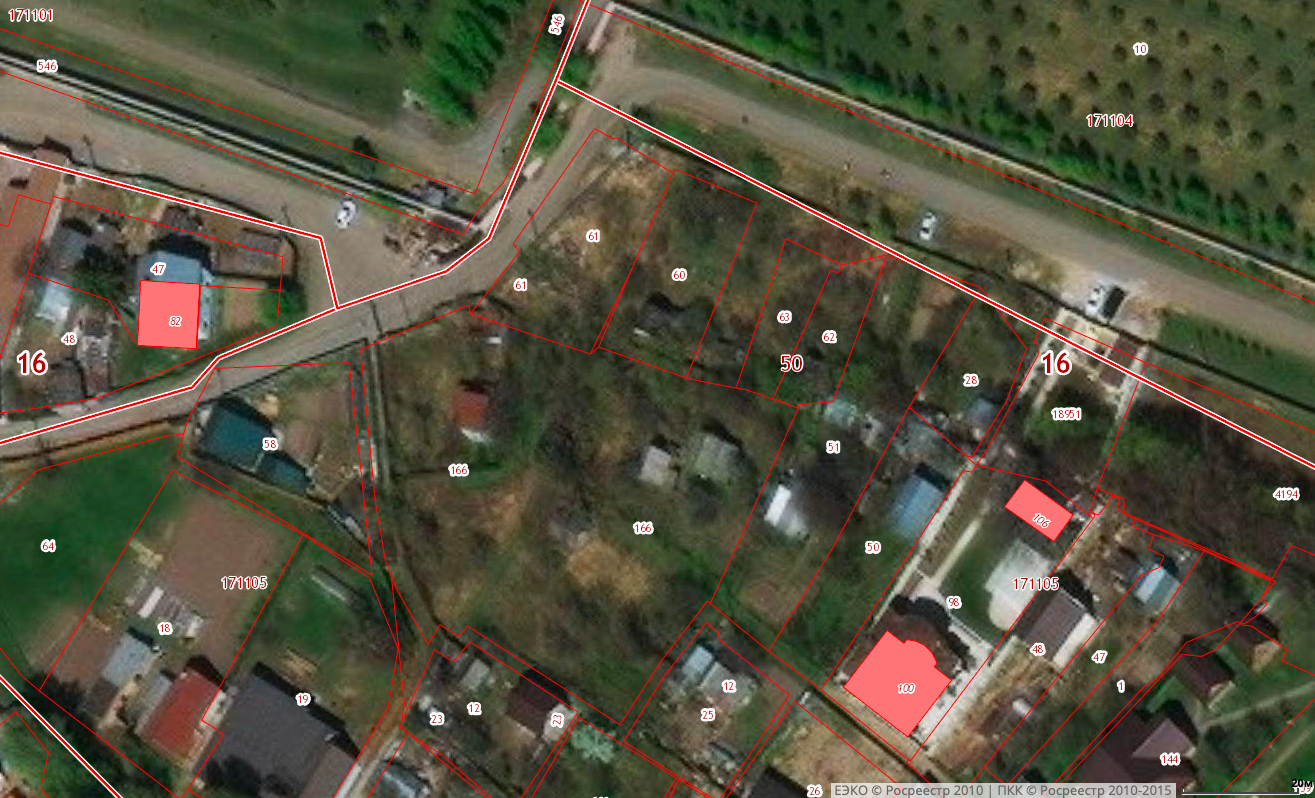
Дом, который по мнению активистов, принадлежит мэру Казани, расположен на пяти участках. Четыре из них, согласно выписке ЕГРН (здесь и далее — имеется в распоряжении редакции), принадлежат Равилю Шавалееву. Пятый участок еще до недавнего времени также принадлежал ему, но 25 июля 2018 года он продал его Ильсуру Метшину.

Интересно, что право собственности на часть участков (кадастровые номера — 16:50:171101:831 и 16:50:171101:832) Шавалеев оформил сразу после первых постов в 2013 году — 27 апреля 2013 года. На этих участках расположены только несколько дорожек и футбольное поле. Площадь эти участков — 1,6 га.

Следующие два участка (16:50:171101:1235 и 16:50:171101:1236) стали собственностью Шавалеева в феврале 2014 года. Отметим, что все участки до этого никому не принадлежали, согласно данным Росреестра, и только потом их собственником стал Шавалеев. Как так получилось — неизвестно. Есть вероятность, что эта земля принадлежала до этого республике или муниципалитету, а он ее брал в аренду.

На этих участках как раз сейчас расположен дом, гараж, КПП и несколько сооружений, похожих на фонтаны или какие-то другие архитектурные композиции. Интересно, что участок, на котором стоит дом имеет очень специфическое разрешенное использование: "сады, огороды, дачи; жилые строения на садовых и дачных участках; индивидуальные одноэтажные гаражи; места для парковки легковых автомобилей; объекты благоустройства; бани, сауны индивидуальные; хозяйственные строения, сооружения; бассейны индивидуальные; помещения и сооружения для администрации и охраны". Площадь двух участков — 2,9 га.

Общая кадастровая стоимость четырех участком Шавалеева — почти 121 млн рублей. Хотя первоначально стоимость была в два раза выше. Она определялась постановлением Кабмина РТ от 25.11.2013 года №927 и составляла 223 млн рублей. Однако в декабре 2016 года Шавалеев лично обратился в профильную комиссию Росреестра и попросил снизить стоимость, так как, согласно отчету независимого оценщика ООО "Консультации. Экспертиза. Оценка — РТ" Мисбаховой Л.М. "кадастровая цена участков завышена на 52,41%". В декабре 2016-го комиссия отказала ему в заявлении, найдя в отчете несколько несоответствий при сравнении этих участков с "аналогами".

В январе 2017 года Шавалеев снова обратился в ту же комиссию. В ней, правда, немного изменился состав и вместо замруководителя Росреестра по РТ Артема Костина, в рассмотрении принял участие замминистра земельных и имущественных отношений республики Рустам Мерзакреев. В этот раз нареканий к оценке не было и цену снизили, вот только ее снижение записали с 18 февраля 2014 года, ровно за шесть дней до официального оформления этой недвижимости Шавалеевым в собственность.

Территория дома в 2009 году

Согласно спутниковым снимкам, строительство дома началось задолго до начала оформления документов — в мае 2009 года у здания уже был фундамент и цокольные этажи. В 2011 году его уже почти достроили, а в 2012-м у него была крыша. К апрелю 2013 года почти все сооружения, которые сейчас есть на участках, были почти завершили. Так как эта собственность до этого года, возможно, принадлежала государству, а именно у него Шавалеев ее и купил, можно предположить, что строительство легло на плечи налогоплательщиков.

Отметим, что до сих пор сам дом и часть участков не оформлено должным образом и не имеют своего кадастрового номера, согласно данным Росреестра.

БАНЯ МЕТШИНА

Несмотря на то, что мэрия Казани отрицала связь главы города с особняком, "Idel.Реалии" все же выяснили, что Метшину принадлежит один из пяти его участков. На нем стоит банный комплекс с большим открытым бассейном. Градоначальник купил его у Шавалеева 25 июля 2018 года. Это не отдельно стоящее здание на участке, а часть комплекса особняка.

Ильсур Метшин

Участок (16:50:171101:1293) площадью 1,6 га, с разрешенным использованием — "для ведения гражданами садоводства и огородничества; сады, огороды, дачи". Кадастровая стоимость — 14,2 млн рублей. Здание (16:50:000000:11629) площадью 171,2 кв. м и ценой в 5 млн рублей. По данным Росреестра, его назначение — жилой дом. Примечательно, что Шавалеев получил в собственность этот "дом" в сентябре 2013 года, а вот участок — только в мае 2018 года.

Embed Embed The code has been copied to your clipboard.
width px height px
The URL has been copied to your clipboard

No media source currently available

0:00 0:02:01 0:00

В декларации Ильсура Метшина за 2018 год участок в 16 004 кв. м и дом в 171,2 кв. м появились. Годовой доход мэра города за прошлый год составил 5,3 млн рублей, а его жены — 59,1 млн рублей.

ГОСТЕВОЙ ДОМ ПРЕЗИДЕНТА И КОРРУПЦИЯ ПРИ НЕМ

Про гостевой дом при управлении президента РТ известно чуть больше, чем про предыдущий особняк. Эта обширная территория почти в 17 гектар. Все три участка принадлежат республике и находятся в бессрочном пользовании у ГБУ "Гостевой дом при Управлении по делам президента".

На одном участке — лес, на втором — большой дом и еще какие-то постройки, на третьем — вертолетная площадка и еще одно строение.

Рустэм Агнуллин (справа)

Руководит этим гостевым домом с 2011 года Рустэм Агнуллин. О нем почти нет никакой информации в сети, кроме его должности. Единственное, что можно отметить, судя по его личным страницам во "ВКонтакте" и "Одноклассниках", он увлекается спортом (боксом, теннисом и хоккеем) и фотографируется со знаменитостями, которые приезжают в Казань.

С 2010 года на обеспечение работы гостевого дома из бюджета Татарстана потратили 185,5 млн рублей, и это только согласно данным по госзакупкам. Для дома ежегодно заказывают услуги по водоснабжению и водоотведению, благоустройству территории, на поставку газа и электричества, уборку снега, оплачивают мобильную связь, бензин и т.д. Обеспечивает безопасность территории Управление Вневедомственной охраны войск Национальной гвардии РФ по РТ. На это уходит свыше шести млн рублей в год.

"Idel.Реалии" внимательно изучили все госзакупки для гостевого дома. Большая часть закупок — это предоставление услуг от госкомпаний или монополистов — "Водоканала", МТС, "Татнефти" и т.д. Однако остальные услуги по обслуживанию отдают небольшим частным компаниям. Всего их около 13. Например, каждый год контракт на "выполнение работ по техническому обслуживанию инженерного оборудования" в 1 млн рублей выигрывает ООО "Скала Телеком". Конкурентом у нее выступает ЗАО "Торус Волга". Проблема только в том, что директор обеих компаний — Олег Никифоров. То есть конкурентом выступает связанная компания, что незаконно.

Другая интересная связь — "ПСК "Гранит", "ПСК Гранит" (названия этих компаний отличаются расположением кавычек в названии) и ООО "Геострой".

"ПСК Гранит" играли с "Геостроем" 10 раз: шесть раз на закупках для гостевого дома, два раза для Управления госимуществом в Ульяновской области и Татарстане и два раза для еще одного гостевого дома при президенте в Боровом Матюшино. Первая компания выиграла закупок на 10,6 млн, а "Геострой" на 20,2 млн. Во всех случаях они предоставляли либо одинаковую сумму, либо с небольшим снижением.

Компании со схожими названиями принадлежат на первый взгляд разным людям. "ПСК "Гранит" создали в 2012 году. Ее учредителем до марта 2019 года был Шамиль Галиев, а до июля 2018-го соочредителем значился Мейлис Якупов. Сейчас учредитель — компания ООО "Гранит". В апреле 2017 года компания переехала в помещение 49 дома 42 по улице Зур Урам.

В 2018 году тот же Шамиль Галиев создал компанию "ПСК Гранит" и зарегистрировал ее по тому же адресу. В марте 2019 года он продал фирму некому Мураду Беджикову. Юридический адрес до сих пор остается по тому же адресу.

"ПСК "Гранит" с 2013 года выиграла 38 закупок, из них 30 при гостевом доме. Новая компания с 2019 года участвует в закупках. Пока на ее счету шесть побед в закупках, из них четыре — в гостевом доме.

Очевидно, что "ПСК "Гранит" и "ПСК Гранит" связаны. ООО "Геострой" в свою очередь связана с ними через своего учредителя — Мейлиса Якупова, который ранее был учредителем первой компании.

Остановимся отдельно на Мураде Беджикове. О нем не много известно. Согласно открытым данным, он бывший главный специалист-эксперт Росреестра РТ. В апреле 2014 года его, его коллегу Ильгиза Насырова и старшего помощника прокурора Арского района Азата Шайхутдинова осудили по ч. 3 ст. 30, ч. 4 ст. 159 УК РФ (покушение на мошенничество, совершенное группой лиц по предварительному сговору, в особо крупном размере). Суд посчитал доказанным, что все трое причастны к попытке похитить у гражданина 1,3 млн рублей под предлогом помощи ему в оформлением земельного участка в поселке Салмачи. Шайхутдинову и Насырову суд назначил три года лишения свободы условно, а также оштрафовал каждого на 300 тысяч рублей. Беджиков получил два года условно со штрафом 100 тысяч рублей.

ШАЙМИЕВЫ И УЛИЦА БРИГАДНАЯ

Самый большой особняк из трех в этом комплексе принадлежит детям первого президента Татарстана Минтимера Шаймиева через две компании — АО УК ТАИФ и ООО "МНКТ". Их общая площадь — 13,4 га, а кадастровая цена — 1,3 млрд рублей.

Между их территорией и домом Шавалеева-Метшина есть еще три небольших участка. Два из них находятся в собственности, вероятно, республики (согласно данным ЕГРН данные отсутствуют) и отданы в аренду Равилю Шавалееву с 2018 по 2067 год. Их кадастровая стоимость 7,2 млн рублей, а площадь — 0,6 га.

Забор вокруг территории Шаймиевых

Третий участок принадлежит некому Аркадию Сабанееву с 26 апреля 2018 года. Его площадь — 0,4 га и кадастровая стоимость — 5,3 млн рублей. На нем ведется строительство. До этого эта земля принадлежала гендиректору Зеленодольского молочноперерабатывающего комбината Артуру Егорову, а еще ранее, с 2012 года, директору ООО "Сервис-Агро" и кандидату на этих выборах в Госсовет Татарстана от "Единой России" Габделхаю Каримову.

Аркадий Сабанеев

На Сабанеева сейчас не зарегистрировано никаких компаний, максимум, что о нем известно — он был директором в ряде строительных фирм. Например, он управлял Открытым акционерным обществом "Трастовая компания "Казжилгражданстрой", 51% которой принадлежал КЗИО Казани, а 22% — ООО "Группа компаний "ЖИК города Казани". В публикации 2015 года издание "Реальное время" связывает его с казанским исполкомом.

Улицы Фермское шоссе и Бригадная, где располагается комплекс, привлекли других известных в Казани чиновников и не только. Так, в мае 2018 года Курбан Бердыев купил два участка рядом с собственностью Шаймиевых (площадь — 0,4 га, кадастровая стоимость — чуть больше 3 млн рублей).

Два участка Курбана Бердыева – 61 и 166

Через пару участков от него недвижимость купили дети близкого друга Рустема Минниханова Джаужата Миннахметова Лилия и Радик. Площадь этой территории — 0,5 га, кадастровая цена — 4,5 млн рублей.

С октября 2018 довольно большой участок приобрел депутат Казгордумы Илья Вольфсон (площадь — 1 200 кв. м, кадастровая цена — 1,1 млн).

Самый большой комплекс в поселке рядом принадлежит компаниям ООО "Просто молоко" или ООО "Азбука сыра". Отметим, что "Просто молоко" — это старое название компании "Азбука сыра". Большую долю в ней имеет первый заместитель руководителя Аппарата президента РТ Марат Муратов. Площадь этих участков — 0,4 га, кадастровая стоимость —около 3,5 млн рублей.

***

Если "прогуляться" через сервис Google View вокруг территории (на сколько это возможно), можно заметить, что между гостевым домом и особняком Шаймиевых находятся два КПП. Когда туда подъехала машина поискового гиганта, из здания вышло двое мужчин (один из которых, несмотря на то, что у него замазано лицо, похож на гендиректора гостевого дома) и направились к ней. По пути назад машина засняла группу женщин, идущих к трассе. Они напоминают сотрудниц клининга.

Корреспондент "Idel.Реалии" посетил территорию вокруг особняков, чтобы выяснить, можно ли как-то еще попасть туда, если не пользоваться КПП у гостевого дома при президенте РТ. К территории "мэрского дома" ведет узкая дорога вдоль высокого белого глухого забора. Через каждые 50 метров на нем висят по три камеры. На территорию можно попасть только через собственное КПП.

Два КПП, правое относится в гостевому дому при УДП, а левое – не ясно

К территорию гостевого дома можно попасть двумя путями — через главное КПП, которое есть на Google View или через ворота недалеко от дома Шавалеева-Метшина. Отметим, что там нет КПП, только ворота. Несмотря на это, согласно госзакупкам об охране территории, 6 млн в год стоит охрана двух пунктов. Под вторым, возможно, имеется в виду КПП у въезда на территорию с участком Шаймиевых, рядом с тем самым КПП гостевого дома. Кстати, попасть на территории участков Шавалеева (те, что в аренде) и собственности Сабанеева можно только через участки Шаймиевых.

"Idel.Реалии" направили ряд запросов в Росреестр, Минземимущества РТ, Управление по делам президента и в казанскую мэрию. В последней мы поинтересовались, действительно ли мэр Казани купил часть земли со строением в комплексе.

В Росреестре спросили, почему участки, где сейчас стоит дом Метшина-Шавалеева, до 2013-2014 года никому не принадлежали, согласно выпискам ЕГРН; почему некоторые сооружения на них так до сих пор и не имеют своего кадастрового номера и никак не зарегистрированы; почему комиссия при Управлении Росреестра одобрила снижение в два раза кадастровой стоимости на два участка Равиля Шавалеева задним числом и для чего физлица проводят такую процедуру.

В Минземимуществе редакция спросила, кому до 2013-2014 годов принадлежали участки, на которых сейчас расположен "мэрский дом"; сколько стоит аренда двух участков Шавалеева; по какой цене были проданы участки под комплексом и через какую процедуру, а также на чьи деньги началось строительство дома в 2009 году.

В Управлении по делам президента Татарстана "Idel.Реалии" поинтересовались, на оплату каких именно КПП выделяются шесть млн рублей ежегодно; сколько в год стоит обслуживание и содержание всего комплекса; не считают ли они нарушением закона то, что в ряде закупок тендеры были разыграны между связанными компаниями.

Бойтесь равнодушия — оно убивает.​ Подписывайтесь на наш канал в Telegram.